Fox News Flash top headlines for November 17
Fox News Flash top headlines are here. Check out what's clicking on Foxnews.com.
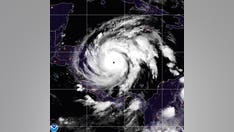
Hurricane Iota made landfall in Nicaragua on Monday night, just 15 miles south of where Hurricane Eta struck two weeks ago, as a strong borderline Category 5 storm.
With sustained winds of 155 mph, the damage in the region may be devastating. Catastrophic, life-threatening damage and flooding are imminent.
In a 7 a.m. EST advisory on Tuesday, the National Hurricane Center warned that Iota is expected to produce flash flooding, landslides, life-threatening storm surge and powerful winds across parts of Central America.

Hurricane Iota made landfall on the coast of Nicaragua on Nov. 16, 2020. (Fox News)
Meanwhile, in the U.S., the Pacific Northwest remains busy over the next few days with rain along the coast and snow into the higher elevations. Strong winds ahead of the system have prompted wind warnings.
Lake effect snow season is up and running as cold air pours across the relatively warmer waters of the Great Lakes.
CLICK HERE TO GET THE FOX NEWS APP
Temperatures will begin to rise over the plains with unseasonably warm air. Fire danger will be elevated over the Southern High Plains. The Northeast is feeling much cooler temperatures through midweek.
Fox News’ James Rogers contributed to this article.











































