Log in to comment on videos and join in on the fun.
Watch the live stream of Fox News and full episodes.
Reduce eye strain and focus on the content that matters.
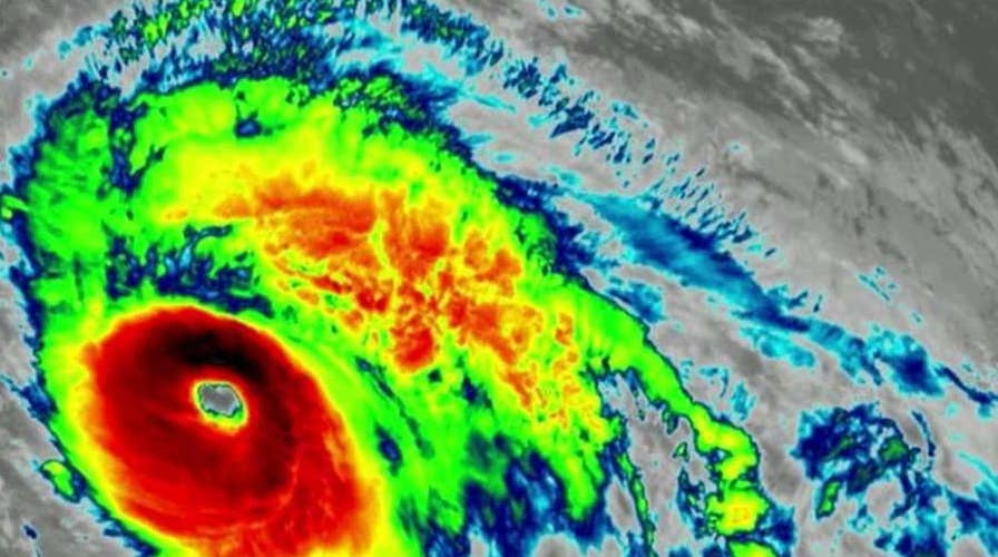
Lorenzo is the northernmost and easternmost recorded Category 5 hurricane on record.